美高梅娱乐城

首页 > 美高梅娱乐城 > 专题专栏 > 重点领域信息公开专栏 > 征地信息公开 > 征地预公告信息
征收土地预公告(从国土征预字〔2018〕15号)
  • 分享到
收案号: 标题: 征收土地预公告(从国土征预字〔2018〕15号)
来源: 广州市从化分局 发布时间: 2018-06-13

依照《中华人民共和国土地管理法》第二条、第四十七条的规定,为实施土地利用总体规划和城市总体规划,维护被征地农民的知情权,根据《国务院关于深化改革严格土地管理的决定》(国发〔2004〕28号)、国土资源部《关于印发〈关于完善征地补偿安置制度的指导意见〉的通知》(国土资发〔2004〕238号)、国土资源部办公厅《关于〈广州市征地制度改革试点方案〉的复函》(国土资厅函〔2003〕196号)和《广州市人民政府办公厅关于印发广州市农民集体所有土地征收补偿试行办法的通知》(穗府办规〔2017〕10号)的有关规定精神,现将拟征收土地情况预公告如下:  

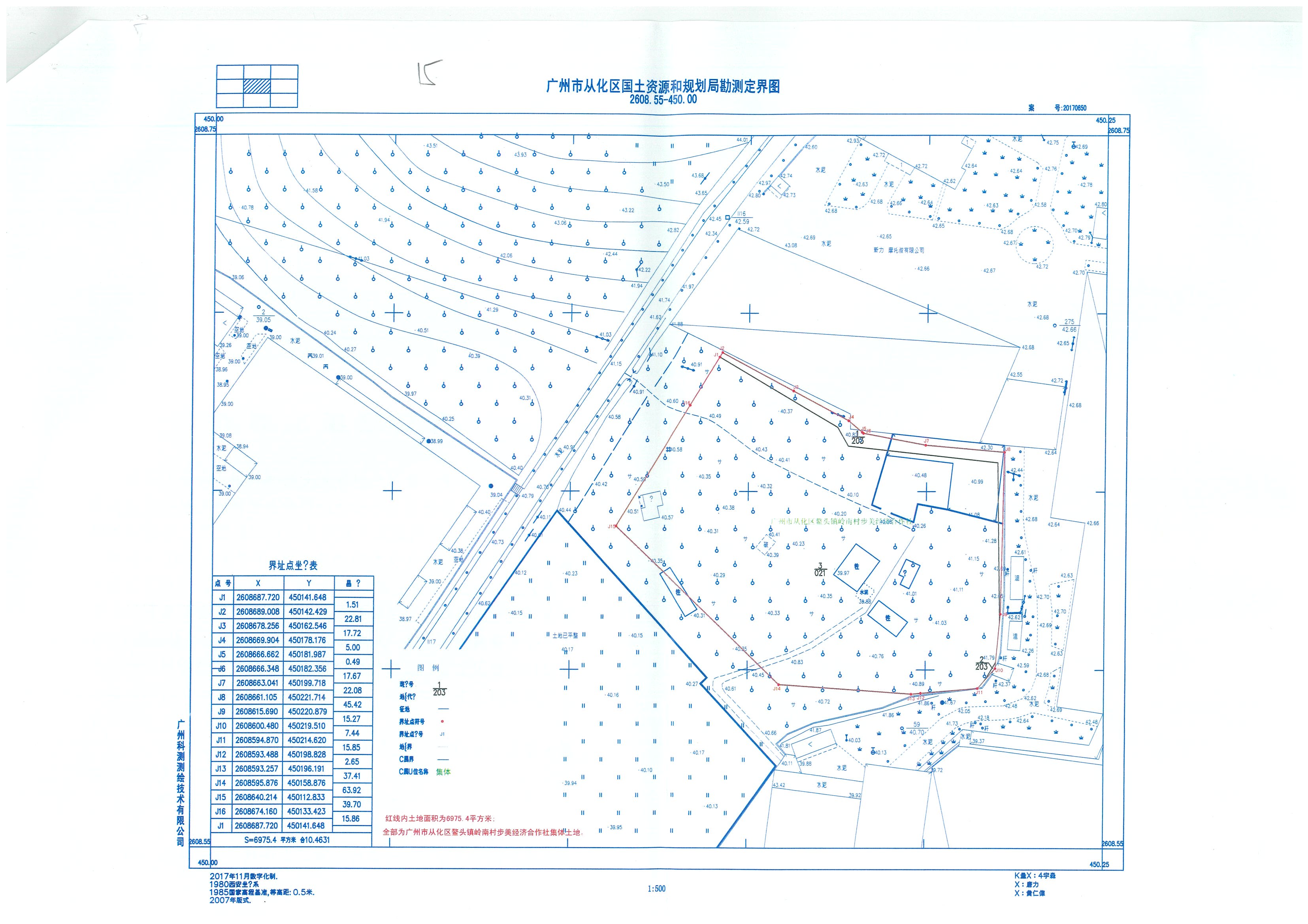
一、拟征收土地的位置和范围(详见公告附图):从化区鳌头镇岭南村步美经济合作社地段  

二、拟征收土地用途:工矿仓储用地  

三、拟征收土地面积:0.6975公顷(合10.4625亩)  

四、自本预公告发布之日起,局将组织有关征地机构和测量单位,进入拟征地现场,对土地的权属、地类、面积,以及地上附着物(含房屋)的权属、种类、数量、结构等现状进行调查,请各相关单位和个人相互知照,并予以配合。调查结果将与被征地农村集体经济组织、农户和地上附着物产权人共同确认。  

五、征收土地的补偿标准和安置途径:  

(一)补偿标准:依照《中华人民共和国土地管理法》第四十七条、《广东省实施〈中华人民共和国土地管理法〉办法》第三十条、国土资源部《关于印发〈关于完善征地补偿安置制度的指导意见〉的通知》(国土资发〔2004238号)和《广州市人民政府办公厅关于印发广州市农民集体所有土地征收补偿试行办法的通知》(穗府办规〔201710)有关规定拟定。其中,地上附着物(含房屋)和青苗等的补偿,将根据调查确认的实际情况拟定具体的补偿标准。  

(二)安置途径:1、支付安置补助费;2、支付社会保障金,购买社会保险;3留用地安置,留用地比例为征地总面积的10%  

(三)局根据实际测量、现状调查和确认结果拟定具体的征地补偿安置方案后,将在依法报批前另行告知被征地农民集体经济组织和农户,充分听取意见。被征地农民集体经济组织和农户对拟征收土地的具体补偿标准、安置途径有申请听证的权利。  

六、自本预公告发布之日起,除正常农业生产外,被征地农村集体经济组织和农户在拟征土地上抢栽、抢种、抢建地上附着物和青苗,征地时一律不予补偿。  

专此公告。  

          

广州市从化区国土资源和规划局  

                               2018214  

  详见公告附图(从国土征预字〔2018〕15号) 

扫码进入手机页面
足球外围平台推荐 澳门太阳城app 新葡京博彩 IM体育试玩 沙巴官网平台