美高梅娱乐城

首页 > 业务信息 > 土地管理 > 征地信息公开 > 征地预公告信息
广州市增城区国土资源和规划局 征收土地预公告(增国土规划征预字〔2018〕47号)
  • 分享到
收案号: 标题: 广州市增城区国土资源和规划局 征收土地预公告(增国土规划征预字〔2018〕47号)
来源: 增城区国土资源和规划局 发布时间: 2018-09-14

依照《中华人民共和国土地管理法》第二条、第四十七条的规定,为实施土地利用总体规划和城市总体规划,维护被征地农民的知情权,根据《国务院关于深化改革严格土地管理的决定》(国发〔2004〕28号)、国土资源部《关于印发 <关于完善征地补偿安置制度的指导意见> 的通知》(国土资发〔2004〕238号)和国土资源部办公厅《关于 <广州市征地制度改革试点方案> 的复函》(国土资厅函〔2003〕196号)有关规定精神,现将拟征收土地情况预公告如下:  

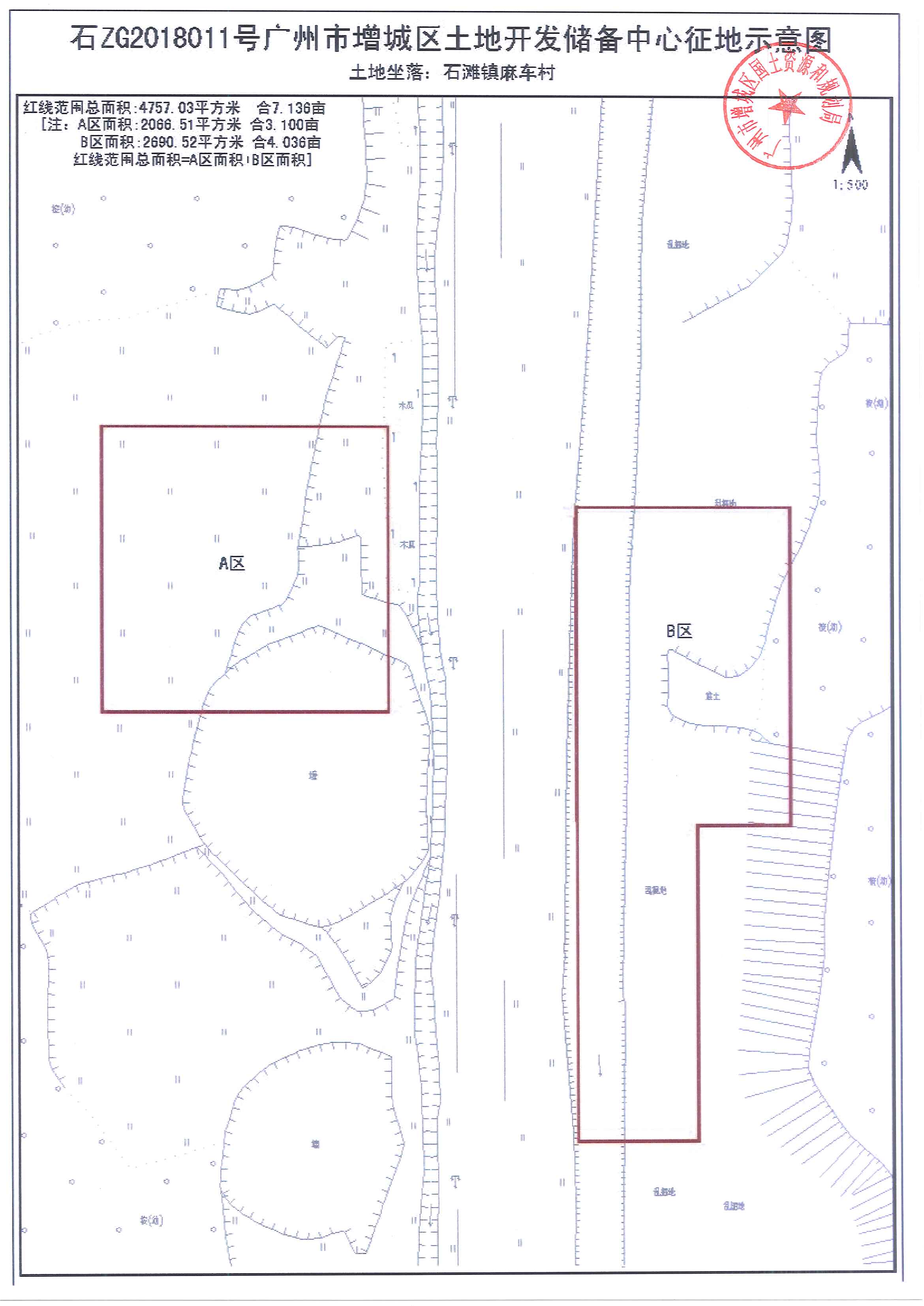
一、拟征收土地的位置和范围:石滩镇麻车村4757.03平方米(折合7.136亩),范围详见现场公告附图。  

二、拟征收土地的规划用途:商业服务业设施用地。  

三、拟征收土地面积:0.4757公顷(折合7.136亩)。  

四、自本预公告发布之日起,本局将组织有关征地机构和测量单位,进入拟征地现场,对土地的权属、地类、面积以及地上附着物(含房屋)的权属、种类、数量、结构等现状进行调查,请各相关单位和个人相互知照,并予以配合。调查结果将与被征地农村集体经济组织、农户和地上附着物产权人共同确认。  

五、征收土地的补偿标准和安置途径:  

(一)补偿标准:依照《中华人民共和国土地管理法》第四十七条、《广东省实施 <中华人民共和国土地管理法> 办法》第三十条和国土资源部《关于印发 <关于完善征地补偿安置制度的指导意见> 的通知》(国土资发〔2004〕238号)有关规定拟定。其中,地上附着物(含房屋)和青苗等的补偿,将根据调查确认的实际情况拟定具体的补偿标准。  

(二)安置途径:支付安置补助费、安排就业培训、社会保障安置、留用地安置。  

(三)本局根据实际测量、现状调查和确认结果拟定具体的征地补偿安置方案后,将在依法报批前另行告知被征地农民集体经济组织和农户,充分听取意见。被征地农民集体经济组织和农户对拟征收土地的具体补偿标准、安置途径有申请听证的权利。  

六、自本预公告发布之日起,除正常农业生产外,被征地农村集体经济组织和农户在拟征土地上抢栽、抢种、抢建的地上附着物和青苗,征地时一律不予补偿。  

特此公告。  

                                                      广州市增城区国土资源和规划局

                                                            2018年8月1日  

范围详见现场公告附图

扫码进入手机页面
体育博彩app推荐 世界杯压球 亚洲十大足彩排行榜 世界杯投注 世界杯压球